Notice of Complete Applications and Public Planning Meeting Concerning a Proposed Zoning By-law Amendment and Revised Plan of Subdivision
Monday, March 30, 2026 at 6:00 p.m.
This Public Planning Council Meeting will be held in a hybrid format with in-person and electronic participation. Deputations may participate in the meeting remotely or in-person. Refer to the registration process below.
The public are invited to attend the Public Planning Meeting at the Township of King Council Chambers at 2585 King Road, King City to receive information and provide comments on the proposed Zoning By-law Amendment and Revised Plan of Subdivision Applications, concerning 13450 &13500 Highway 27, in the Village of Nobleton, Township of King in accordance with Sections 34 and 51 of the Planning Act, R.S.O. 1990, Chapter P.13, as amended
If you have received this notice as an owner of a property that contains seven (7) or more residential units, please post this notice in a visible location to all residents of the land.
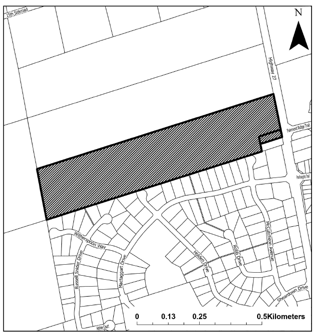
Subject Property
Location: 13450 &13500 Highway 27, Nobleton, ON
Part of the East Half of Lot 9, Concession 9
Owner(s): TG Nobleton LP & Crisdan Holdings Inc.
Agent: Humphries Planning Group Inc. (c/o Rosemarie Humphries)
File Number(s): Z-2026-03 & 19T-26-K03
Staff Report: The staff report will be available at www.king.ca/meetings on the Thursday prior to the meeting date.
Proposed Changes
The subject lands are located on the west side of Highway 27 and south of 15th Sideroad in the northwest quadrant of the Village of Nobleton. The lands are comprised of a parcel of approximately 20.15 hectares (49.79 acres) in land area, and 145.63 metres of frontage onto Highway 27.
The proposed development includes revisions to a draft approved plan of residential subdivision, including an increase in variety of detached dwelling lots; replacement of Open Space Lot; reconfiguration of existing Blocks into parks, open space, wetlands, and stormwater management (SWM) pond Block (and introduction of new SWM Pond Block); reduction in area of Park Blocks and Wetland Blocks; and, modifications to the internal road network. The proposed revisions contemplate a reduction in overall residential area within the plan from 11.09 hectares to 9.95 hectares (and corresponding increase in residential density from 11.99 units per hectare to 12.07 units per hectare).
The Zoning By-law Amendment application seeks to amend Township of King Zoning By-law 2016-71 to facilitate the proposed revisions to a draft approved plan of residential subdivision. Amendments include reduction in minimum lot area, minimum lot frontage, minimum rear and side yard setbacks, and an increase in maximum building height.
How to Participate in the Public Meeting
- View the meeting in-person or watch virtually at https://www.king.ca/meetings. No pre-registration is required.
- Submit written comments to the Township Clerk at clerks@king.ca by 12:00 p.m. (noon) on the day of the meeting. Comments will be circulated to Council and Staff prior to the meeting.
- Speak to a staff report on the agenda in-person or virtually, pre-register with the Township Clerk at 905-833-4068 or email clerks@king.ca no later than 12:00 p.m. (noon) on the day of the meeting. If you are pre-registering, you must indicate the item you wish to speak to, how you wish to participate (video, phone, or in-person), and provide your full name, address, telephone number and speaking notes. Upon receipt of your registration, you will receive a confirmation email with instructions for participating. All comments addressed to Council will form part of the public record.
How to Stay Informed
A copy of the proposed Zoning By-law Amendment and Revised Plan of Subdivision Applications, as well as related background information and supporting information are available by contacting Iqra Chaudhry, Planner, between the weekday hours of 8:30 a.m. and 4:30 p.m., with reference to the addresses or file numbers for more information. Written comments in advance of the staff report being published may be sent to:
Iqra Chaudhry, Planner
ichaudhry@king.ca, 905-833-4577
If you wish to be notified of the decision of the Council of the Township of King regarding the proposed Zoning By-law Amendment and/or Revised Plan of Subdivision, you must make a written request to the Clerk of the Township of King, 2585 King Road, King City, ON L7B 1A1, or by email at clerks@king.ca.
Preserving Your Appeal Rights
If a person or public body would otherwise have an ability to appeal the decision of the Council of the Corporation of the Township of King to the Ontario Land Tribunal but the person or public body does not make oral submissions at a public meeting or make written submissions to the Township of King before the Zoning By-law Amendment is passed, or the Revised Plan of Subdivision is approved, the person or public body is not entitled to appeal the decision.
If a person or public body does not make oral submissions at a public meeting, or make written submissions to the Township of King before the Zoning By-law Amendment is passed, or the Revised Plan of Subdivision is approved, the person or public body may not be added as a party to the hearing of an appeal before the Ontario Land Tribunal unless, in the opinion of the Tribunal, there are reasonable grounds to do so.
Dated at the Township of King this 6th, day of March, 2026.
Adam Foran
Deputy Clerk
Corporation of the Township of King
2585 King Road
King City, ON L7B 1A1
